Grundstücke
Logo_LS_Massivhaus

       Tel. 038205 - 819107 Fax: 819109   Mail : lsmassivhaus@t-online.de

                        Büro : Sülzer Str. 15 e, 18195 Tessin

20250804_122416

“Wir sind anders”

     Energiesparhäuser nach Gebäudeenergiegesetz

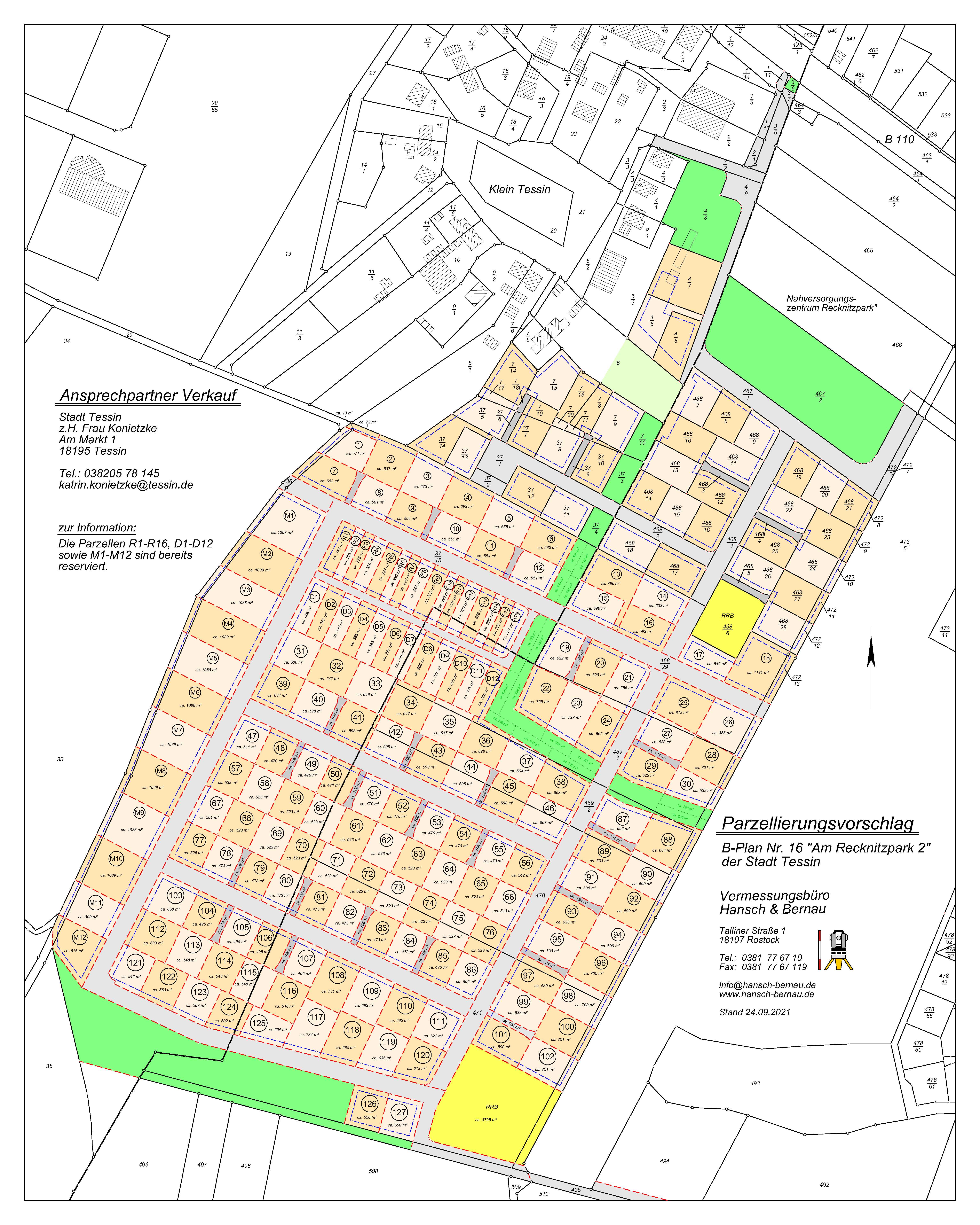
Parzellierungsvorschlag
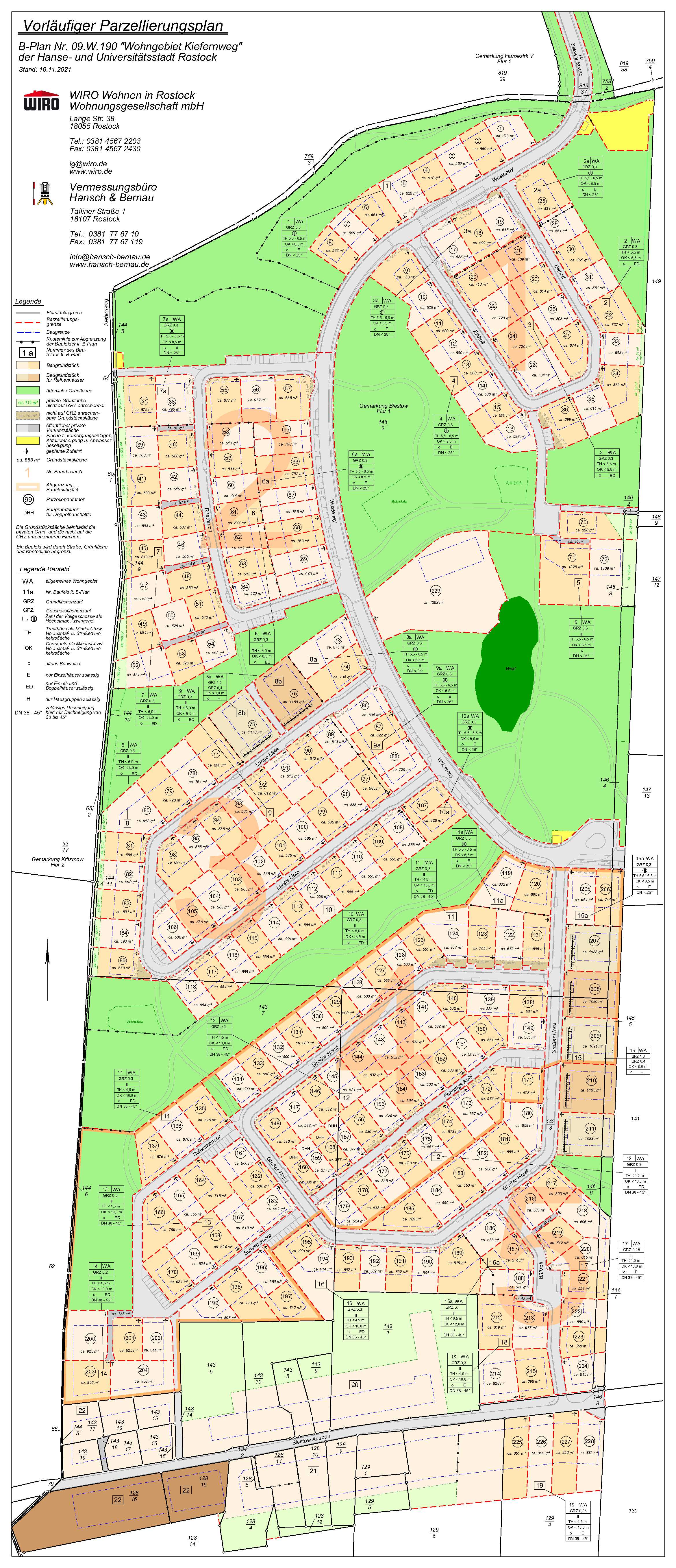
Parzellierung Kiefernweg
BauvoranfrageSeite1
20230103_174039_Liegenschaftskarte_A4_Neu

                                                               Grundstück in Lüssow 3.784 m² für 80.000,-€ mit bestätigter BauvoranfrrageTel. Herr Wagner : 0151 - 74468419

Home | Kontakt/Impressum | Baubeschreibung | Preisliste | aktuelle BV | Groß Lüsewitz | Haustypen | Bautrockner | Grundstücke | fertige Häuser |